Ремонтные работы на ул. Гагарина: перекрытие движения с 4 по 15 сентября

Временные неудобства для жителей и автомобилистов в связи с необходимостью ремонта теплосетей.

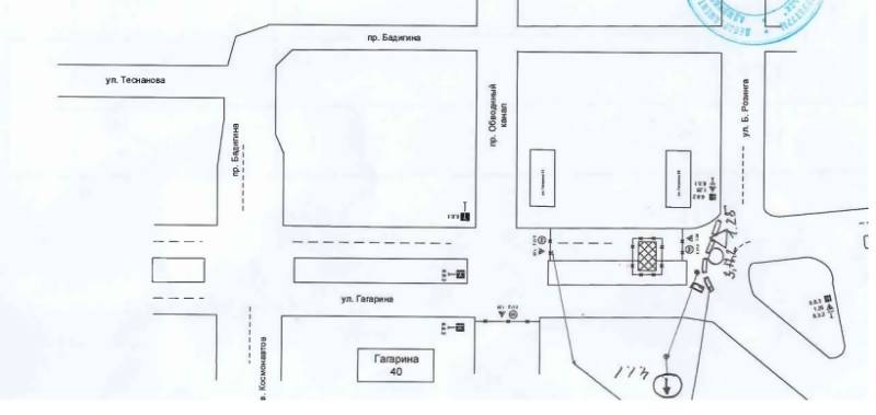
С 00:00 4 сентября до 15 сентября будут проводиться ремонтные работы на теплосетях.

В этот период будет перекрыт участок на улице Гагарина в районе здания №39. Это связано с необходимостью проведения плановых работ, которые направлены на улучшение качества теплоснабжения в городе.

Жителям и автомобилистам стоит заранее запланировать свои маршруты и учесть данное перекрытие. Временные неудобства могут возникнуть в связи с изменением схемы движения общественного транспорта и личных автомобилей.

Организации, занимающиеся ремонтом, призывают всех водителей и пешеходов проявлять повышенную осторожность в местах проведения работ.

В рамках подготовки к работам была проведена оценка состояния теплосетей, и было принято решение о необходимости их обновления. Работы будут проводиться ежедневно, включая выходные дни, чтобы минимизировать время перекрытия.

По окончании работ планируется восстановление асфальтового покрытия и благоустройство территории, что в дальнейшем улучшит условия для передвижения и повысит комфорт для жителей.

Следите за официальными объявлениями и новостями в местных СМИ, чтобы быть в курсе актуальной информации о ходе работ и изменениях в движении транспорта.

Последние новости

Изменение порядка работы с обращениями граждан

С 30 марта 2025 года вступили в силу изменения, внесённые в Федеральный закон от 2 мая 2006 года №59-ФЗ «О порядке рассмотрения обращений граждан Российской Федерации».

Александр Цыбульский встретился с новым ректором СГМУ Надеждой Быловой

Распоряжением министра здравоохранения РФ Михаила Мурашко с 1 апреля исполняющей обязанности ректора СГМУ назначена Надежда Былова.

Приостановлена работа транспортной переправы Хабарка - Бревенник

В настоящее время проезд по ней осложнен в связи с сильной потайкой. При этом прогнозируются морозы, что может позволить продлить работу ледовой дороги.

Потребительский кредит без боли: как не стать жертвой долговой ямы

Как взять кредит с умом и не пожалеть об этом спустя пару месяцев

Здесь вы можете узнать о лучших предложениях и выгодных условиях, чтобы купить квартиру в Сальске

Комментарии (0)

Добавить комментарий

Ваш email не публикуется. Обязательные поля отмечены *